三井ホーム 群馬県の前橋市・高崎市・太田市・伊勢崎市 他で注文住宅や木造住宅を建てるならハウスメーカーの【群馬ホーム株式会社】

モデルハウス来場予約
オンライン相談
リフォームはこちらへ

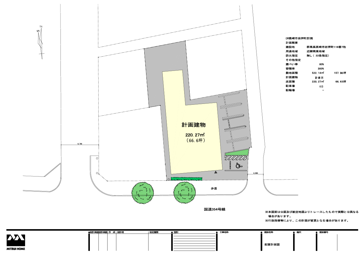
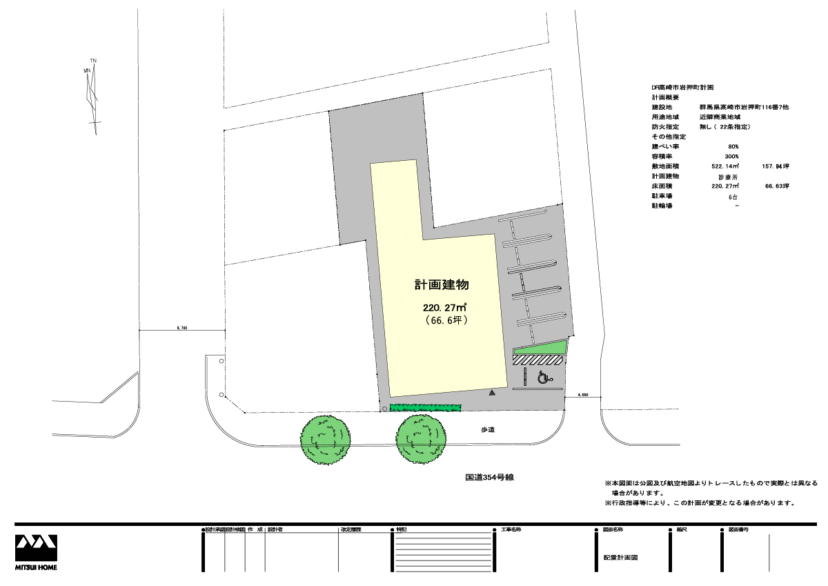
ドクターズレントハウス高崎市岩押町

物件名 ドクターズレントハウス高崎市岩押町
住所 群馬県高崎市岩押町116番7他
建物面積 220.27㎡(66.6坪)
駐車場 6台
イベント お知らせ モデルハウス 土地・分譲住宅を探す 建築実例 医療建築 賃貸住宅経営 オーナーの部屋 リフォーム 群馬ホームとは テクノロジー 会社概要 ブログ お問い合わせ

群馬ホーム株式会社

〒370-0006 群馬県高崎市問屋町3-9-2
TEL:027-363-5631

宅地建物取引業免許 群馬県知事(8)第4089号
(一社)群馬県宅地建物取引業協会会員
(公社)首都圏不動産公正取引協議会加盟